Plante commune en Nouvelle Calédonie pour constituer du gazon.
C'est une herbacée vivace à port couché. Elle fait facilement des stolons. C'est une Graminée. L'inflorescence est en épi.
Pour répondre à une discussion, cliquez sur "Discuter sur ce sujet"
Plante commune en Nouvelle Calédonie pour constituer du gazon.
C'est une herbacée vivace à port couché. Elle fait facilement des stolons. C'est une Graminée. L'inflorescence est en épi.
La rougette est une petite plante sauvage qui pousse dans les jardins, bord de trottoirs, sentiers...
Elle mesure de 15 à 30 cm selon le lieu qu’elle occupe. Elle est couverte d’une pilosité courte
Les photos ont été prises dans mon jardin, à Nouméa

En nouvelle calédonie, on l’appelle la rougette, c’est LA plante à verrues locale. Sa tige contient un latex blanc. C’est une plante médicinale aux nombreuses propriétés. On utilise également les jeunes feuilles dans la cuisine.
Un seul plant possède jusqu’à 2990 graines !

J'ai eu la chance avant-hier de voir pour la première fois l'orchidée "neotina lactea" variétée protégée sur liste rouge et qui se trouve principalement en Midi-Pyrenées et en particulier dans l'Ouest toulousain .C'est une petite plante de 10 à 25cm qui fait partie d'un plan d'action régional pour sa sauvegarde.Les stations sont très souvent cloturées en zone urbaine, une a "fait le mur" donc j'ai eu la chance de pouvoir la photographier (sous la pluie hélas)
Une douce odeur de miel et un tapis d'un vert-jaune lumineux ont attiré notre nez et nos yeux ce matin, quand, avec ma petite fille, nous sommes parties en mission pour faire "les devoirs" de mamie et prendre les photos des fleurs sauvages.
Une plante rouge. Ce n'et pas une fleur à ce stade. Plante dont je ne connais pas le nom.
cette plante grimpante pousse sur un vieux mûr en pierre à côté de la maison et on la trouve également dans les haies environnantes, dans le département des Pyrénées Atlantiques. Assez difficile à arracher, je me contente de la tailler. Elle a une tige à 4 angles, robuste, rugueuse, des feuilles verticillées, par 5 ou 6, persistantes, dures et rugueuses en dessous, vert clair pour les jeunes feuilles et foncé pour les plus anciennes. Pas encore de fleurs mais j'ai trouvé 2 fruits de l'an dernier, ronds, presque noirs, environ 5 mm. Tous ces éléments me font dire que c'est une garance voyageuse ( Rubia peregrina ) de la famille des rubiacées, plante notamment connue pour donner une teinture rouge rose. Je vais essayer de mettre les photos, j'attendrai mon assistant pour ça car je n'ai pas réussi ce soir
Il y a de cette plante partout dans les chemins et champs autour de chez
moi. Là, sur des gravillons devant ma maison. C'est une des rares
plantes qui est en fleurs ici. Le risible c'est qu'elle m'est très
familière (et pas qu'à moi) mais que je n'avais jamais tenté de la
déterminer (car en fait c'est un peu compliqué).
Aspects remarquables (selon moi et pour ce que j'en vois) :
- feuilles toutes à la base, en "rosette";
- découpées irrégulièrement, comme des harpons mal forgés;
- un peu dentées;
- un peu gaufrées, légèrement hérissées de poils blancs non piquants;
-
tige dressée, sans ramification, sans écaille, comportant un léger
duvet de poils blancs par endroit...- "fleur" composée, jaune, grande,
solitaire ;
- capitule avec des
fleurs ligulées autour et des fleurs tubulaires au centre. Les ligules
dentées en haut; les ligules périphériques bicolores dessous.
Ressemble à un Pissenlit (Taraxacum sp.), mais elle a des fleurs tubulaires... C'est peut-être une Porcelle (Hypochaeris), mais la tige est nue.
En
bref, et en 3 photos, il faut que je me penche sérieusement sur la
question. Appeler toutes ces sortes de fleurs: "pissenlits", n'est plus
possible en suivant ce MOOC.



On ne chôme pas à Ste Marthe et à cette époque en Sologne c'est surtout de l'eau, de l'eau et encore de l'eau, et quelques adventices!

Dans la garrigue entre Narbonne et Gruissan dans l'Aude. C'est la
période des asperges sauvages. Un régal en omelette, mais il faut avoir
l’œil affuté pour les trouver. ça y est ça marche pour les photos.
Ces petites plantes ont envahi ma pelouse (naturelle).
Dès le printemps, les fleurs jaunes sont partout.
Celle-ci a poussé sur mon tas de compost
En l’arrachant, on trouve ses petites racines tubéreuses
Il s’agit sans doute d’une ficaire Ranunculus ficaria
Coucou, où es-tu ? Que fais-tu ?
Je m'étends sur les talus, nonchalamment j'incline la tête.
Je n'ai pas le port altier de ma cousine élevée, mais je suis d'autant plus attendrissante.
Primula veris
Fichier 1 : Primevère officinale (Crédit : free photos/CC BY 2.0/Flickr)
Fichier 2 : Flore sauvage de Touraine p.12
Fichier 3 : http://aureaformation.fr/fleurs-jaunes/
Viorne Tin ou laurier Tin Viburnum tinus
Dans le var, à Brignoles, sur un versant ombragé,
cet arbrisseau est abondant dans ce type de maquis
les feuilles opposées coriaces sont persistantes
les fruits bleu nuit et luisants, se remarquent bien en hiver
inflorescence en ombelle
coucou,
j'ai eu du mal à faire paparazzi, chez moi, à 1700 mètres d'altitude, il y a encore un bon mètre de neige... MAIS petits crocus de printemps apparurent sur le bord d'une route où la neige a commencé à fondre...
remarquable car poussant dans un sol encore gelé, avec ses anthères jaunes qui rappellent son cousin le safran. Feuilles de la base linéaires. Fleurs uniques, blanches ou mauves. magnifiques. simples.
lieu : Valberg, station de montagne, france alpes-maritimes, 1700m d'altitude.

Oseille sauvage au pied de notre portail, à La Roche Mabile, à l'ouest d'Alençon en Normandie. Quelle variété exactement, je ne sais pas. Il y en a beaucoup sur les talus du village.
En cette magnifique journée ensoleillée, mes pas m'ont portée sur les chemins de campagne de Castelnau de Guers (Hérault). Les premières fleurs printanières riaient à tue-tête et se trémoussaient sous les rayons du soleil tant attendu! Une fleur qui se répand dans les champs de vigne et les bords de route (entre autre) se trouve vêtue de 4 légers pétales blancs insérés à la base du réceptacle. Au-dessous, 4 sépales à peine verts soutiennent la corolle. Au centre, un gynécée à l'ovaire super est renflé d'innombrables ovules. La dame est entourée d'androcées, 4 grands et 4 plus petits, au filet violacé. La fleur et ses comparses sont au sommet d'un pédoncule qui ici et là, en alternance, dérivent d'une longue tige aux feuilles ciselées. La racine a bien voulu sortir de terre et nous montrer son magnifique pivot agrémenté de petites racines secondaires et radis-au-sel !!!
Dans la garrigue entre Narbonne et Gruissan dans l'Aude. C'est la période des asperges sauvages. Un régal en omelette, mais il faut avoir l’œil affuté pour les trouver. Bon! je ne sais pas où sont passées mes photos. besoin d'un peu d'aide pour les intégrer. Merci pour les conseils
Le lierre terrestre ! dans un coin boisé , proche d'un ruisseau , photos prises il y a une semaine quand il commençait tout juste à monter en fleurs
Pour moi une véritable découverte gustative ...associé à du fromage frais , en tartinade !
Ravie de pouvoir l'observer près de chez moi !





Anémones hépatiques, famille des Renonculacées, rencontrées au dessus de Montreux (Suisse).
Leur nom vient de la forme de leurs feuilles rappelant un lobe de foie. Celles-ci sont persistantes.
Leur floraison dure une huitaine de jours entre mars et avril.
On les rencontre souvent dans les sous-bois à sol calcaire et humide au pied des arbustes qui leur procurent la fraîcheur dont elles ont besoin.
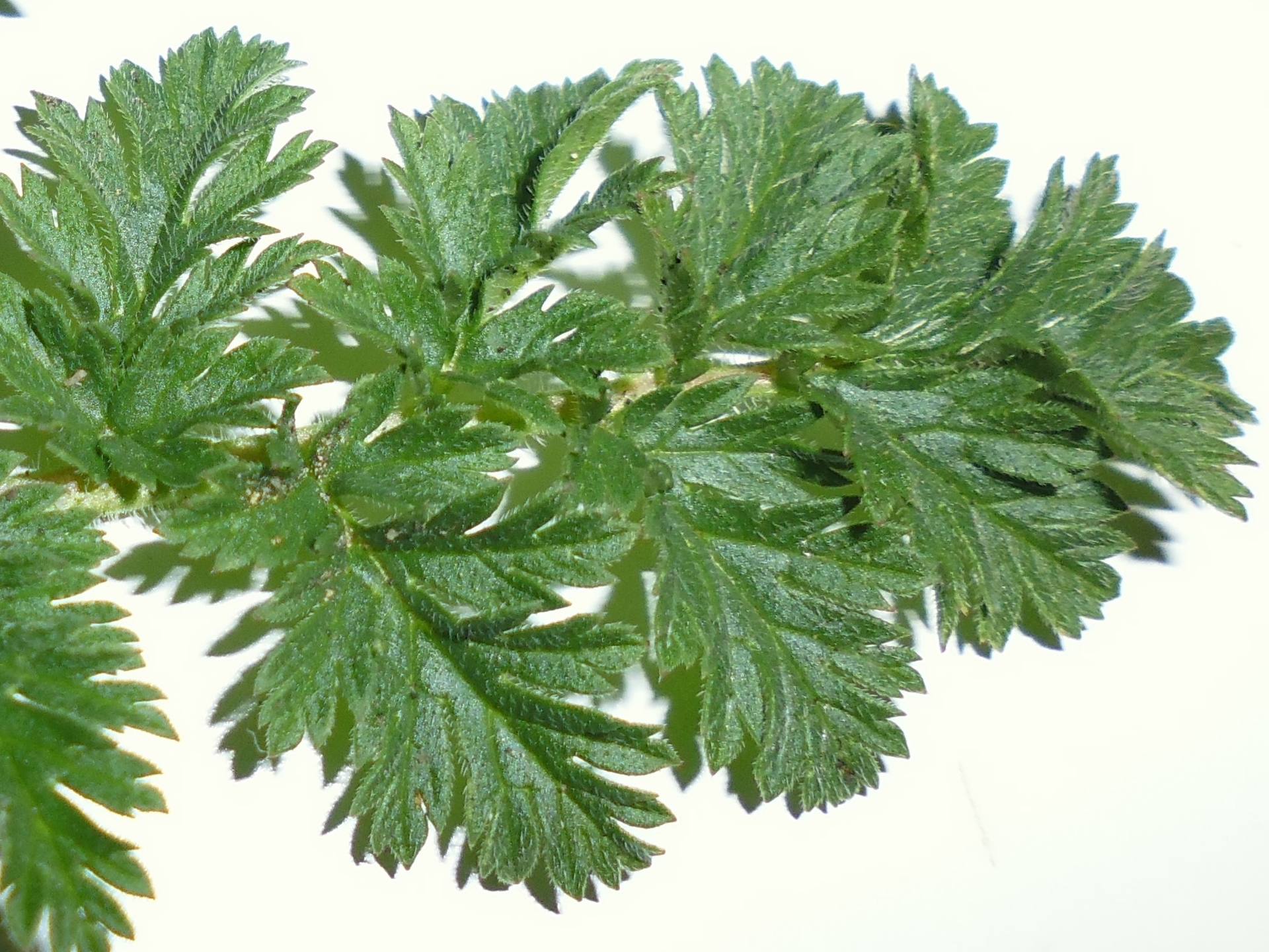
Cette petite pimprenelle (sanguisorba minor) a été prise dans mon jardin, (Saint-Doulchard, Cher) sous la pluie :
1 - vue complète de la plante, avec sa rosette, près d'une marche en pierre.
2 - le départ des tiges, anguleuses, de couleur plus ou moins rouge ; la pluie fait ressortir les poils sur les tiges.
3 - les feuilles crénelées et leurs nervures, le long de la tige posée sur de la mousse, un peu plus loin. Les feuilles se referment un peu sur elles-mêmes.
En regardant cette troisième photo, j'ai découvert toute la beauté de la mousse, en-dessous ; mousse gorgée d'eau par la pluie, mousse d'où dépassent de petites boules oranges, les sporogones.
J'utilise un peu de petite pimprenelle dans mes salades ou mes jus verts.
Mimosa pudica (aussi appelé "Marie la pudique") trouvé en bord de route entre Cayenne et Kourou (Guyane).
Cette Fabacée est originaire d'Amérique tropicale et tient son nom du fait qu'elle soit sensitive et se rétracte lorsqu'on la touche.






Localisation: Batna Algérie (Nord-Est)
les fleurs de cette plante (dont je ne connais pas le nom) ont attiré mon attention je les ai trouvé remarquables ainsi que la forme des feuilles.....
Lieu: dans la forêt de la montagne où je vis en Suisse à 850m d'altitude.
C'est une Primula vulgaris, je la trouve intéressante car elle est vraiment toute petite, car à l'ombre des grands arbres de la forêt. Les nuits sont encore fraîches , et à part le chant des oiseaux, rien n'annonce encore l'arrivée du printemps!
Cela fait 25 ans que je vois fleurir cette sorte de jonquille aux pétales ébouriffés qui pousse en touffe dans une prairie pâturage de vaches dans le lot et Garonne sur des coteaux ensoleillés. Et cela fait 25 ans que je cherche le nom véritable. Merci de m’aider...
Dans les Yvelines, près d'un mur plutôt orienté au nord.
La plante n'est pas solitaire, elle est accompagnée de tout un groupe de plantes similaires et elles sont très basses.
En revanche, la fleur est solitaire et de couleur blanche avec un coeur jaune orangé et à la base de la tige lorsque la fleur s'ouvre il y a du violet.
La feuille est en rosette, triangulaire et cordiforme.
Je ne lui ai pas trouvé de parfum particulier car j'ai plus senti l'odeur de la terre humide...il a plu toute la journée...
En revanche la taille des fichiers est trop lourd...pour les 2 autres images....
La Frittilaria Meleagris évolue dans une prairie humide en clairière, dans la "Petite Prairie" aux abords de l'Etang de Saint-Yrieix, et à proximité d'un bras de la Charente (secteur d'Angoulême). Elle fait partie des espèces protégées. Variété très courante à une certaine époque (je la ramassais à pleine brassée), elle s'est raréfiée avec l'urbanisation et la modification des milieux naturels, ainsi que la pollution par les pesticides et autres produits pas très écolos.
Plusieurs stades de son évolution relevés sur un même site le même jour.
A noter que certaines variétés de l'espèce se cultivent.
Aujourd'hui, j'ai vu plein de petites plantes mais je choisi de mettre celle que je ne connais pas !
J'ai vraiment eu du mal à télécharger les photos, et surtout à avoir des détails avec mon smartphone... prochaine fois, je prendrais l'appareil photo...
Sinon que dire, plante prise en Haute-Savoie ce jour, à côté d'un parterre de primevères, dans un coin me semble-t'il plutôt ombragé... Le temps est bien humide en ce moment !

Lieu : Provence juste au sud de la Durance
Nom : Orchis
Comme les feuilles (proches du sol) sont toujours visibles, j'attends, chaque printemps, la sortie de la fleur.
On observe beaucoup d'orchidées dans cette région



Bonjour à tous,
Ci-jointes les photos de la patate à Durand, une plante angiosperme;
Cette liane rampante des zones tropicales se trouvent sur les hauts de plage, le long des côtes...
J'ai trouvé dans mon talus à Bailly-en-Rivière (Seine-Maritime) cette petite plante que je crois fortement être une Achillée Millefeuilles.
Il y a 3 petits pieds d'une toute petite dizaine de centimètres de haut.
Qu'en pensez-vous ?
Bon, je ne vais plus attendre que la pluie s’arrête pour aller faire un tour…
Pour la description, ce sera « avec mes mots », en attendant d’avoir le bon vocabulaire.
Voilà donc la plante en question :
Trouvée au pied d’une terrasse en bois, en pleine terre.
Plante assez discrète, touffue, dressée et d’une vingtaine de centimètres de haut.
Pied assez large, rougeâtre, qui se ramifie rapidement en plusieurs longues tiges dressées, elles-mêmes ramifiées et rouges à la base de chaque ramification.
Chaque tige porte en son extrémité 5 feuilles très dentelées, arrondies et de texture molle, symétriques par rapport à l’axe de la tige (une feuille dans le prolongement de la tige, deux autres réparties de chaque côté).
Les feuilles sont porteuses sur les deux faces de cils translucides très souples, de l’ordre de un millimètre de longueur. Leur densité est assez faible sur la face supérieure et encore davantage sur la face inférieure.
Forte odeur herbacée lorsque l’on froisse une feuille.
Peut-être une armoise ?
nota: merci pour la variété et la qualité de tout ce qui a déjà été posté, cela m'éclaire sur beaucoup de plantes que je croise au quotidien !
Bugle rampante (Ajuga reptans)
J'ai photographié cette plante à Bayonne, au bord du chemin de halage qui longe la Nive.
Cette lamiaceae printanière attire les insectes (abeilles, bourdons, papillons).
Pas facile entre 2 averses et dans un vent qui fait les photos floues et pousse les herbes à poser sur la photo !
Sous différentes coutures, voici une plante que je ne connais pas, elle a pourtant l'air de proliférer. Merci de m'aider à l'identifier.
Dommage d'être limitée à 3 photos, j'avais aussi le parterre de feuilles en gros plan et les sépales.
Près de chez moi, cette petite fleur blanche tapisse les sous bois. Après recherche il me semble qu'il s'agit de l'anémone sylvie.
3 feuilles s'accrochent au même niveau autour de la tige.
Lamier hybride (Lamium hybridum) ou pourpre (L. purpereum) d'après la Flore Bonnier, il y a un anneau de poils en dedans du tube de la corolle dans le cas du L. purpereum
Famille Lamiacée
Hauteur : 15cm ; port rampant
Feuilles cordiformes à bord denté arrondi avec un petit pétiole au niveau de l'inflorescence et de grand pétiole pour les feuilles inférieures et une forme plus arrondie.
Plante commune et comestible.
Helleborus foetidus L. - Ranunculaceae
Hellébore fétide


Une plante toute verte (enfin presque)
Lieu de prise de vue : Consenvoye (Meuse)
Les Muscaris parsèment la colline, dans le Var sud-est. Leur bleu puissant se fait remarquer dans le vert ambiant.
Elles font partie des premières fleurs printanières.
"Muscari est un genre de plantes monocotylédones printanières à bulbe, de 20 à 60 cm de haut.
Ce genre fait partie de la famille des Liliaceae selon la classification classique, ou celle des Hyacinthaceae selon la classification phylogénétique APG I. La classification APG II propose de l'inclure dans celle des Asparagaceae.
Il est facilement reconnaissable à ses fleurs de couleur bleue, violette ou noirâtre, parfois blanches, petites clochettes ovoïdes à ouverture étroite, réunies en une grappe très serrée, dans laquelle elles sont presque soudées. Les feuilles, longues (environ 20 cm) et étroites, un peu charnues, d'un beau vert, sont situées à la base de la plante. Elles apparaissent en général après l'inflorescence.
Les Muscari sont originaires du vieux monde : centre et sud de l'Europe, nord de l'Afrique, ouest, centre et sud-ouest de l'Asie.
Ce sont des plantes très rustiques, qui se ressèment facilement d'elles-mêmes.
Le terme muscari (latin scientifique de la Renaissance muscarium) est un dérivé de musc, évoquant le parfum musqué de certaines espèces.


Profitant d'une éclaircie, ballade avec les petits enfants... découverte de ce grand lamier, peut-être 'Lamium maculatum'.
C'est une des premières plantes étudiées en classe de 5ème, il y a déjà 50 ans... cela me rappelle toujours mon enfance.
Hors de sa période de floraison, on peut la confondre avec une ortie...
Euphorbia helioscopia ou euphorbe réveille-matin ! Elle pousse le long des talus dans les Cévènnes (versant méditérranéen). Il faut l'observer à la loupe pour voir toute sa beauté.



Au détour d'un chemin, dans un jardin public en bord de méditerrannée, j'ai rencontré quelques groupes de cette plante.
D'une hauteur approximative de 30 à 50 cm. Je suppose que cette plante est naturelle, càd non modifiée par l'homme.
J'ai été attiré d'abord par sa couleur: d'un gris très pâle, presque blanche au soleil.
Les feuilles, au touché semblent faites en caoutchouc, mais elles sont recouvertes d'une couche dense de poils.
Elles sont de ce fait très agréables à sentir .
Je n'ai aucune idée de son nom et si quelqu'un peut m'aider, grand merci.
Lieu : foret de Dourdan 91
Fleurs blanches
Feuilles à lobes étroits et découpés
Pétiole poilu
Gilles
Hello!
Voici ma découverte faite lors d'une balade en forêt à coté de chez moi
J'ai découvert pleins de fleurs mais je suppose qu'on peut en partager qu'une
Je ne connais pas le nom mais il y'en avais partout! Elles poussent en groupe.



Le lamier pourpre est une plante de la famille des orties. Il doit son nom à la couleur que prennent les feuilles au sommet de la tige (le mien est resté vert...)
C'est une plante dont je croquais le calice de la fleur quand j'étais enfant pour en goûter le nectar.
Il a une tige de 40 cm environ qui est d'abord rampante puis se dresse à son extrémité et présente ses fleurs rose-mauve. La tige est de section carrée. Les feuilles en forme de cœur et "gaufrées" et dentelées sur le bord, elles sont pétiolées. La feuille a une odeur d'herbe quand on l'écrase.
Les fleurs sont groupées en haut de la tige parmi un groupe de feuilles. D'autres fleurs sont présentes sur la tige à la base des pétioles de feuilles. Les fleurs sont formées de deux lèvres dont la supérieure est bombée.
C'est une des premières fleurs du printemps et elle attire les insectes les jours de soleil
C'est l'une des premières plantes sauvages que j'ai vu en fleur en Lorraine (vers Thionville) alors que nous venons de sortir d'une période de gel relativement intense. Je pense que c'est une pâquerette mais laquelle ?
Elle a un aspect remarquable - en plus de fleurir sitôt: les tâches mauves sur les pétales.







Dans mon jardin, à Charols (Drôme)
C'est un orchis géant (je crois)



Bonjour à tous,
Voici une plante au jardin du Luxembourg, sous la pluie.
Je l'ai souvent vue mais j'ignore son nom.
Les pétales ont presque une forme de coeur et les étamines ne sont pas visibles.
Céline, toute débutante
Coucou du jardin : plante entière, feuilles, fleurs (pas très nettes, je n'ai pas réussi à faire mieux).
Je ne connais pas le nom scientifique de cette plante très commune.
Je suis dans la région lyonnaise.
Et, on commence tout en douceur avec une pâquerette (ça sent le printemps !) observée à Carnoulès dans les Cévennes.
Elle mesure de 10 à 20 cm et a des feuilles d'environ 2 à 5 cm qui partent de la base de la tige.
Elle a des poils sur les feuilles, la tige et les sépales.
Son inflorescence est composée de fleurs ligulées blanches à roses qui forment le tour et de fleurs tubuleuses très jaunes au centre.
Certains boutons sont en fleurs et d'autres pas encore.
C'est la bennis perennis de la famille des astéracées.
Potentilla sterilis sur le talus qui longe la rue où j'habite. Fressin Hauts de France
Il fait froid, il pleut, et il vente; temps extrêmement rare chez nous, mais il fallait cependant que je fasse mes devoirs pour ce MOOC botanique si intéressant. Malheureusement, les plantes,également avaient froid et le pissenlit et la ficaire avaient refermé leurs fleurs pour protéger leurs précieux pistils et étamines. Seule la potentille faux fraisier osait narguer ce temps maussade.
Voilà ma trouvaille, je ne sais pas comment elle s'appelle, mais j'ai eu du plaisir à l'approcher, à la distinguer. Au début, je me suis dit qu'il n'y avait rien à photographier, seulement l'herbe qui borde la rivière. Puis en prêtant attention, j'ai vu qu'il y avait plein de choses à voir. Et j'ai choisi celle là.



Oxalide des Bermudes pris en photo dans mon jardin
Observation:
-feuilles en forme de cœurs
-Gout acide
Bonjour plante photographiée lors d'une randonnée du côté de Lescun, dans les Pyrénées orientales en juillet 2017 , à environ 2000 mètres d'altitude. Je n'ai aucune idée de son nom ... Avis aux amateurs
Je ne sais pas son nom mais elle est très courante par chez moi (Vendée).
Comme vous le remarquerez, en photos aussi, je suis débutante!
Ces photos marque le temps (ou niveau) zéro de mes prouesses en photos, soyez indulgent, je ne peux que progresser!
Marion
Comme indiqué dans l'intitulé j'ai pris ces photos de pissenlit dans une
ruelle voisine. C'est une des rares plantes sauvages en fleur en ce
moment par chez moi. Ses propriétés diurétiques lui ont valu son nom. Sur les 3
photos il y a une vue générale avec une grande tige surmontée d'un
bouton de fleurs. Une photo d'inflorescence (communément appelée
"fleur". Une photo qui détaille un peu ses feuilles très découpées et
disposées en "rosette" à la base du pissenlit.
Les 3 photos se trouvent en annexe.
J'étais parti pour prendre des photos de chélidoine mais je n'en ai pas trouvé en fleurs. Elles ne sont qu'en tous petits boutons, dommage.
Cette petite fleur très fréquente se trouve dans mon jardin à Montgeron ( Essonne ). Il y a 1 photo d'ensemble, 1 des feuilles basales et une des fleurs très petites et des siliques, 1 bien visible, comme une gousse.
Découverte dans mon jardin avec ma fille de 5 ans
Nous sommes en détermination de son nom....à suivre !
Nous avons trouvé cette plante remarquable de par ses fleurs, tiges...
Ce n'est que ce matin que j'avais repéré les boutons prometteurs mais inconnus de mézigue. Si mes souvenirs sont bons, c'est la première fois qu'elle s'installe chez moi. Visiblement, elle se ferme et s'ouvre à volonté, en fonction de la luminosité (ou de la température... quelqu'un saura peut-être me le dire).
Comme son nom l'indique, ses feuilles sont étroites, en forme de gouttière et lorsqu'on les coupe il s'en échappe un liquide incolore et collant.
Voici la reine du printemps. C'est la première fleur, et quelle fleur ! - qui apparaît au printemps dans la forêt mixte au pied de l'Ardévaz (petite montagne du Valais, en Suisse).
Cette magnifique fleur aux feuilles trilobées peut être d'un bleu violacé ou rose, rarement blanche. Cette plante pousse en touffes (celle de la photo est impressionnante) au ras du sol.
Proche des anémones, elle appartient à la famille des Renonculacées avec ses six pétales bien séparés.
a) Photo de la touffe
b) Photo d'une feuille à la base 
c) Photo d'une fleur

Cette fleur s'appelle l'HÉPATIQUE (hepatica nobilis ou hepatica triloba).
A noter que Hépatique correspond au foie et que ce nom a été choisi à cause de la forme de ses feuilles.
découverte qui me réjouit beaucoup : Scilla bifoliata, le Scille à deux feuilles, a élu domicile dans mon jardin :
en Seine et Marne, à Montereau-fault-Yonne
Pas facile à voir car sa floraison est très rapide (deux jours !), et il n'est pas bien grand.
la fleur, les fruits et les boutons floraux
En allant me balader hier, j'ai jeté mon dévolu sur ce conifère dont on trouve de nombreux spécimens sur l'archipel. Après recherches sur internet, je pense qu'il s'agit d'un individu nain de Abies balsamea. D'accord ou pas d'accord sur cette première tentative d'identification?
Bonne chasse à tous!


Une primevère sur mon talus, fleurie depuis quelque temps. Elle a même pu savourer la neige !
Au fil d'une petite ballade à Gotland (une île au milieu de la Baltique), nous sommes tombés sur de jolis crocus de printemps. Le signe avant coureur d'un printemps radieux.
Petite orchidée de 15cm abondante en cette saison au bord de la route .
Terrain acide plutôt granitique, altitude 50 m et 2km du bord de mer
Je pense à une sérapias neglecta
ce sont parmi les 1ères fleurs à apparaitre au printemps : 8 pétales jaunes d'or brillants, des petites feuilles vertes en coeur, et qui forment des touffes tapissant le sous bois
en cherchant sur Plantnet j'ai trouvé que c'est une ranunculaceae
muscari négligé (me semble t-il!!) isolé dans mon terrain au bord d 'un chemin de passage.
Retournac en Auvergne en surplomb de la Loire à 200 m. Ma maison est entourée d'une petite forêt de pins sylvestre.
Vu il y a deux semaines environ à l'Arboretum de l'Université de Grenoble. Rien d'extraordinaire à priori, Primula vulgaris, et beaucoup autour de nous. Mais par hasard j'ai choisi le fleur avec 6 pétales (5 d'habitude).
Photos prises en mai 2017 dans Parc Georges Charpak à Montpellier.
Petit tour en vélo entre midi et deux dans le Parc de Gerland, à Lyon :
Parmi les espèces en fleur, dont beaucoup ont été photographiées sur ce forum, je me suis arrêté en particulier sur cette jolie fleur bleue, le Muscari à grappe, de la famille du Muguet (Asparagacées, après être passée par les Liliacées et les Hyacinthacées...).


J'ai trouvé cette plante dans ma ville du Pré saint Gervais , a quelques pas de chez moi dans un jardin partagé . Pas facile de trouver une plante sauvage dans la commune la plus dense de France !!!! C'est une plante dont je ne connais pas le nom mais que j'ai toujours considéré comme une mauvaise herbe ( a tort sans doute ) .Ses feuilles sont petites, alternées d'environ 2 cm de diamètre , rondes et dentées sur les bords. Lorsque qu'elles sont a la partie supérieure , les feuilles forment comme une corolle .Elle fait de minuscules fleurs ( 7 mm environ ) a pétales bleu avec un cœur blanc rayé de bleu et un pistil bleu elle a des sépales vertes en dessous .


Bonjour à tous,
Ils poussent à la sauvageonne dans mon jardin en Haute Garonne: en bordure de terrasse, entre les rochers, ils sont partout!
En faisant quelques recherches je me suis rendue compte qu'il s'agissait du Laiteron , mais est ce le potager ou l'épineux?
Celui mesure une vingtaine de cms et sa tige et ses feuilles sont velues. Feuilles dentelées?
Les capitules sont en bouton pour l'instant et je suis désolée de n'avoir pas réussi à faire des photos plus nettes.... mon portable "floute" dès que je m'approche...j'espère réussir à faire de meilleures photos pour les prochaines activités.
Ce laiteron cohabite avec un tas de "plantes de rocaille" que je ne sais pas nommer. Si vous pouvez m'éclairer
Merci et belle journée,
Aurélie

C'est une fausse roquette : Diplotaxis erucoides. Elle a des fleurs blanches et non pas jaunes. Elle est très abondante dans ma région de Provence calcaire. Actuellement les vignes sont tapissées de blanc à cause de ou grâce à elle. Les abeilles en raffolent. Elle mesure entre 30 et 50 cm. Les feuilles sont longues, pennatifides. Les fleurs groupées à l'extrémité des tiges ont quatre pétales. D'où son classement dans la famille des crucifères, aujourd'hui brassicacées. Famille des choux. Et en plus ça se mange.
j'ai trouvé cette plante sur le trottoir à Mulhouse à deux pas de notre appartement.
je vois 5 pétales, 5 sépales et un feuillage très découpé
Dans mon jardin, sans que nous n'y soyons pour quelque chose, de jolis bouquets éclosent au printemps, de plus en plus nombreux.
Des feuilles vert tendre, avec comme des petites bulles sur la surface, avec une ou plusieurs fleurs crème ou violette, regroupées en plusieurs pieds qui se multiplient chaque année...
Les primevères sont là !


3 photos d'une plante synonyme du printemps
primula veris photographiée dans un champ en compagnie de violette
enfant j'arrachais les fleurs une par une, leur base a un gout sucré!!!!


Voici une fleur que j'ai découverte hier dans un pré à l’orée d'une forêt à environ 750 m d'altitude en Savoie au dessus d'Aix les bains.
Elle mesure en 10 et 15 cm et pousse près des jonquilles. La tige est ronde et 4 à 5 fleurs s'en détachent. Les feuilles longues et lissent partent de la base de la plante. La fleur de couleur bleue comporte 5 pétales.
Je ne connais pas le nom de cette fleur. Si quelqu'un peut me renseigner à ce sujet, je suis preneur.



Nous sommes sur un adret entre Var et Estéron à 800 m d'altitude. Sur un terrain argile calcaire quaternaire assez compact, peu favorable aux plantes. Le climat est mi-méditerranéen / mi-montagnard... Environnement de prairies plus ou moins dégradées en plein vent et en plein soleil. Les collines et les ubacs sont colonisés par les pins.
Bonjour,
Voici une plante du terrain "vague" à côté de chez moi (Alpes de Haute-Provence).
Impossible pour moi de la déterminer ? Une roquette ? Goût poivré en tout cas !
Elle est appréciée des abeilles et coccinelles !
Merci de votre aide
Plante d'environ 20 cm, découverte dans un bois ( Bois de la Caille) à Lyon 4eme, dans le Rhône, Région Rhône-Alpes Auvergne en France.
Ses feuilles sont ovales, dentelées et bien rainurées avec un dessous plus clair et duveteux. Elles sont d'un vert prononcé et semblent pousser de manière binaire, opposées l'une à l'autre par une tige plutôt marron/rouge foncé.
Une couronne de fleurs en forme de clochettes blanches ou de style petites orchidées, se remarque facilement en haut de cette plante.
Date du 28 mars 2018.
Nom inconnu pour ma part.
Plante d'environ 20 cm, découverte dans un bois ( Bois de la Caille) à Lyon 4eme, dans le Rhône, Région Rhône-Alpes Auvergne en France.
Ses feuilles sont ovales, dentelées et bien rainurées avec un dessous plus clair et duveteux. Elles sont d'un vert prononcé et semblent pousser de manière binaire, opposées l'une à l'autre par une tige plutôt marron/rouge foncé.
Une couronne de fleurs en forme de clochettes blanches ou de style petites orchidées, se remarque facilement en haut de cette plante.
Date du 28 mars 2018.
Nom inconnu pour ma part.
Repérée près de mon lieu de travail, à Montpellier, je pense que c'est un Laiteron (Sonchus oleraceus.)
Trouvée dans le près a côté de la maison, terrain calcaire en bordure du causse de Gramat.
Veronica chamaedrys si je ne m'abuse.
Cette jolie plante à fleurs bleues est répandue dans les près.
Photographiée aujourd'hui, 28 mars, dans mon jardin, en terrain argilo-calcaire sec.

Les premières violettes vues à Caluire dans le Rhône; elles poussent au pied d'un mur.
La floraison vient de commencer, voila la plane en entier, les feuilles de la base e la fleur au premier plan
Voici quelques photos prises le 26/03/18 sur la Côte Bleue dans les Bouches du Rhône mais j'avoue que j'ai du mal à l'identifier ..


localisation: Batna Algérie (nord-est de l'Algérie )ce qui a attiré mon attention c'est le grand nombre de poils qui recouvrent cette plante
l'infloressence est un peu abîmée à cause des conditions climatiques
Cette plante est assez abondante dans la prairie à côté de mon jardin, dans la Vienne, en bordure de la Brenne.
Limite d'un bois, terrain argileux calcaire, très ensoleillé.
Pas de détermination avec certitude, je prends volontiers les avis
Date : 19 Mai 2017
Lieu : Djebel Bou Naceur, Moyen Atlas oriental, Maroc
Bonjour à toutes et à tous,
Les plantes sauvagest et autres ont été arrêtées dans leur élan par le coup de froid des dernières semaines.
Faisant un tour le long de la plage verte, la Baie de Heist, dont je parlerai encore plus tard, j'ai à peine trouvé quelques plantes en petit nombre. A défaut d'éclaircies les fleurs restaient fermées chez la plupart.
J' ai finalement découvert cette petite plante, Cerastium semidecandrum ou le Céraiste des sables, également appelée le Ceraiste à cinq étamines. Une plante commune présente dans pas mal de milieux.
Joseph
Bonjour à tous et toutes,
Photo prise ce matin 28/03/18 dans le jardin au pied d'un olivier.
Localisation : Sud de la France, Provence, Vaucluse, Aubignan aux pieds des Dentelles de Montmirail.
Altitude approximative du jardin : 130 m.
Climat méditerranéen.
Plante assez commune dans la région qui aime les lieux rocheux et herbeux, le bords des chemins... On peut la confondre avec d'autres Muscaris (M. commutatum) mais qui se différencie par des petites "dents" blanches sur le bords de ses fleurs...en grappe .
Bonne journée.
P.s : Désolé mais il semblerait que je ne soit pas vraiment doué pour publier une image dans le bon sens...
nobody's perfect !!!
J'ai découvert il y a deux ans ces petits bulbes à planter dans le jardin : des anémones blanda, qui fleurissent normalement d'avril à juin. Ces fleurs ne sont pas très hautes (environ 15 cm), mais leur couleur bleue est remarquable. On peut aussi les reconnaître à leurs feuilles très découpées.
Photo prise aujourd'hui, 28 mars, dans mon jardin, dans le sud des Yvelines.
Dans la haie au fond du jardin A 1000 m d'altitude c'est la première floraison possible après la neige....
Bonjour,
Voici une plante que j'avais photographiée lors d'une sortie universitaire dans les Alpes. J'ai retrouvée cette photo, mais je ne sais plus le nom de la plante... Pouvez-vous m'aider ?
Bruyère arborescente (Erica arborea)
Photo prise a tipasa (Algérie)


